Siêu bão Melissa với sức gió 290km/h, Liên hợp quốc cảnh báo ‘thảm họa thế kỷ’
Siêu bão Melissa với sức gió lên tới 290km/h, đã mạnh lên thành bão cấp 5 ngay trước khi đổ bộ và hiện được xem là một trong những cơn bão mạnh nhất trong lịch sử Đại Tây Dương.

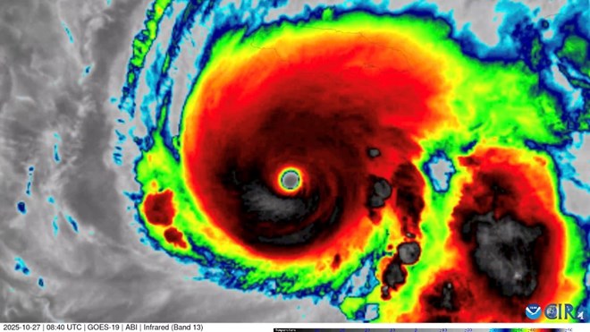
Siêu bão Melissa sẽ đổ bộ vào Jamaica sáng ngày 29-10 theo giờ Việt Nam – Ảnh: AFP
Siêu bão Melissa – được xếp cấp 5, mức cao nhất trên thang đo bão – chỉ còn vài giờ nữa sẽ đổ bộ vào Jamaica, mang theo gió giật hơn 290km/h, triều cường cao tới 4m, cùng lượng mưa dự kiến vượt 70cm, có thể gây ra lũ quét và sạt lở nghiêm trọng.
Giới chuyên gia gọi đây là “cơn bão tồi tệ nhất thế kỷ” mà quốc đảo Caribê này từng đối mặt, và cũng là một trong những siêu bão mạnh nhất thế giới trong năm nay.
Phát biểu tại Geneva, bà Anne-Claire Fontan, chuyên gia về bão nhiệt đới của Tổ chức Khí tượng thế giới (WMO), cho biết: “Jamaica đang chuẩn bị cho một thảm họa. Đây chắc chắn sẽ là cơn bão của thế kỷ đối với quốc đảo này”.
Trung tâm Bão quốc gia Mỹ (NHC) dự báo Melissa sẽ đổ bộ vào sáng 29-10 (giờ Việt Nam), sau đó di chuyển qua đông Cuba, Bahamas và Turks & Caicos trong hai ngày tới.
Thủ tướng Jamaica Andrew Holness đã ban hành lệnh sơ tán bắt buộc tại nhiều khu vực phía nam, bao gồm thị trấn lịch sử Port Royal, đồng thời cảnh báo: “Không có cơ sở hạ tầng nào trong khu vực có thể chịu được sức gió cấp 5”.
Ông cho biết chính phủ đã bố trí ngân sách ứng phó khẩn cấp 33 triệu USD và chuẩn bị hơn 800 trung tâm trú ẩn trên toàn quốc.
Theo Liên đoàn Chữ thập đỏ quốc tế (IFRC), khoảng 1,5 triệu người tại Jamaica sẽ bị ảnh hưởng trực tiếp bởi bão Melissa. Tổ chức này đã triển khai sẵn các vật tư cứu trợ gồm nước sạch, chăn mền, bạt che và bộ dụng cụ vệ sinh, đồng thời cảnh báo “hàng chục nghìn, thậm chí hàng triệu người sẽ trải qua một ngày vô cùng khó khăn”.
Melissa được mô tả là một “gã khổng lồ di chuyển chậm” – chỉ bằng tốc độ đi bộ – khiến tình hình càng thêm nguy hiểm vì bão sẽ lưu lại lâu hơn trên đảo.
Bà Esther Pinnock, phát ngôn viên Hội Chữ thập đỏ Jamaica, nói: “Thông thường sau vài giờ bão sẽ đi qua, nhưng với Melissa thì không. Đây là một thảm họa diễn ra chậm rãi”.

Melissa được xem là một trong những siêu bão mạnh nhất từng đổ bộ vào Đại Tây Dương
Tại Haiti và Cộng hòa Dominica, mưa lớn kéo dài trong nhiều ngày qua đã khiến ít nhất bốn người thiệt mạng.
Trong khi đó, Cuba đã sơ tán hơn 500.000 người khỏi các khu vực ven biển, còn Thủ tướng Bahamas Philip Davis cũng ra lệnh sơ tán cư dân ở phía nam và đông quần đảo trước khi Melissa quét qua.
Các chuyên gia cảnh báo siêu bão Melissa có thể gây tàn phá tương đương các siêu bão lịch sử như Maria (2017) hay Katrina (2005).
Nhà khí tượng học Jonathan Porter từ AccuWeather nhận định: “Những cơn bão lớn di chuyển chậm thường trở thành thảm họa chết chóc nhất trong lịch sử”.
Theo các nhà khoa học, biến đổi khí hậu do con người gây ra đang khiến nước biển ấm lên nhanh hơn, dẫn đến việc các cơn bão tăng cường sức mạnh đột ngột và mang theo lượng mưa khổng lồ.
Nhà khí hậu học Daniel Gilford nhấn mạnh: “Con người đang khiến mọi yếu tố tồi tệ nhất của siêu bão Melissa trở nên nghiêm trọng hơn”.

Công tác chuẩn bị cho siêu bão đang được người dân Jamaica gấp rút tiến hành – Ảnh: REUTERS

Các bao cát được đặt trước cửa một khách sạn ở Jamaica – Ảnh: REUTERS

Hình ảnh vệ tinh cho thấy siêu bão Melissa trên biển Caribê ngày 27-10 – Ảnh: REUTERS
https://tuoitre.vn/sieu-bao-melissa-voi-suc-gio-290km-h-lien-hop-quoc-canh-bao-tham-hoa-the-ky-20251028224915228.htm